Leende

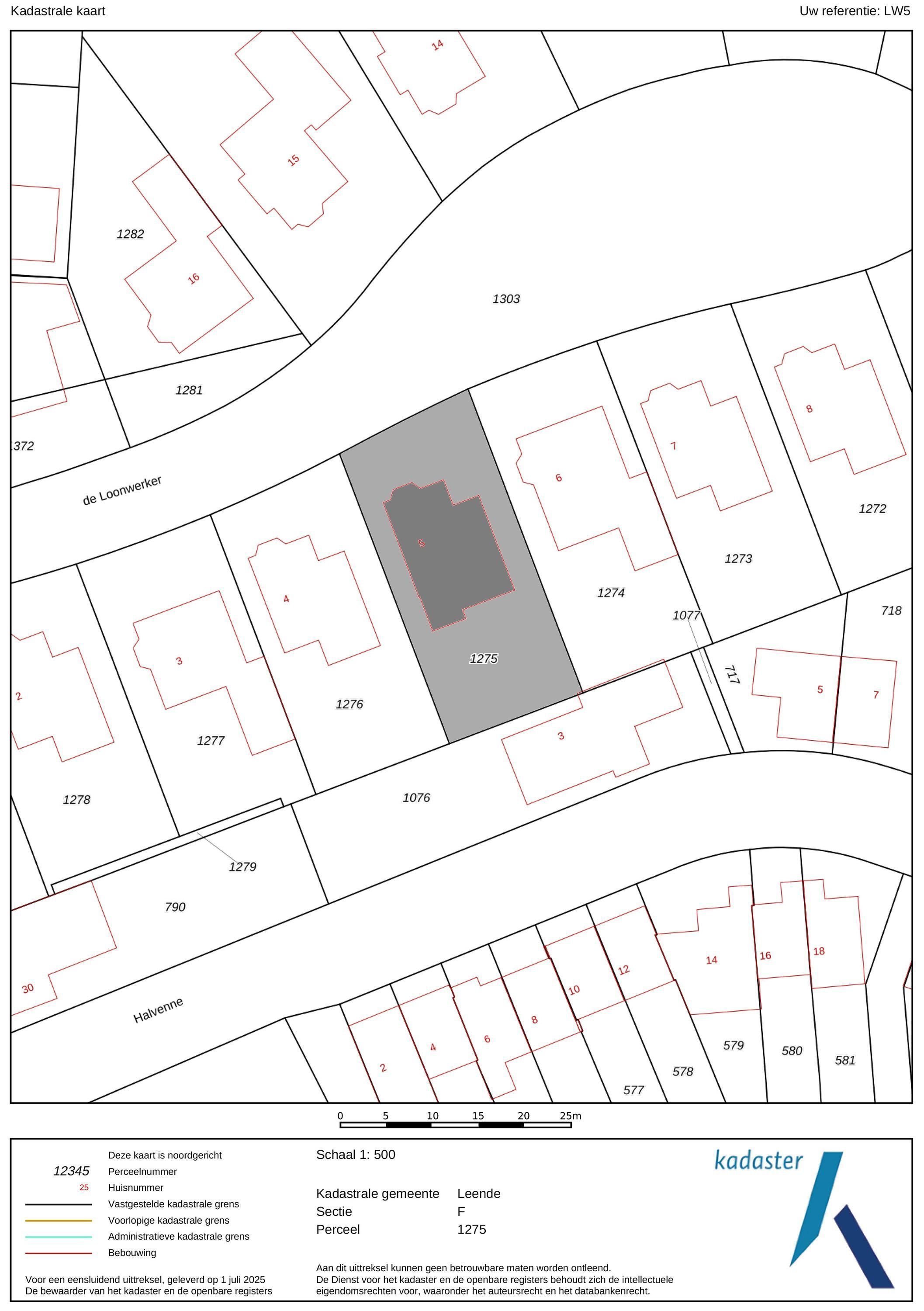
de Loonwerker 5

A 210m² 534m² 865m³ 4 slaapkamers 2 badkamers Vraagprijs € 1.190.000 k.k.

Omschrijving

VOOR EEN SNELLE IMPRESSIE, BEKIJK DE VIDEO VAN CATO TV!

Aan een kindvriendelijk hofje in een exclusieve villawijk, staat deze charmante villa in Engelse stijl – een woning met karakter, allure en een verfijnde uitstraling. De Loonwerker 5 maakt deel uit van een besloten hof met slechts achttien onder architectuur ontworpen Cambridge-villa’s, waar rust, harmonie en esthetiek samenkomen.

Circa zestien jaar geleden werd deze vrijstaande villa gerealiseerd voor de huidige eigenaar, met een scherp oog voor detail, kwaliteit en tijdloze elegantie. Dat vakmanschap is nog altijd voelbaar in elke ruimte. Het huis biedt royale leefvolumes, een warme ambiance en een vanzelfsprekend gevoel van luxe – ideaal voor comfortabel gezinsleven, stijlvol thuiswerken of het ontvangen van gasten.

Hier woon je beschut en sereen, in een betrokken buurt waar buren elkaar kennen, kinderen veilig buiten spelen en gezamenlijke momenten gekoesterd worden. Tegelijkertijd bevinden natuurgebieden en het dorpscentrum met alle dagelijkse voorzieningen zich op loopafstand.

En misschien wel het mooiste moment van de dag: thuiskomen. Wanneer je het hofje inrijdt en jouw villa in zicht komt, voelt het telkens opnieuw als een warm welkom.

DUURZAAMHEID

Uitstekend geïsoleerde villa met energielabel A, voorzien van HR++ beglazing en 12 zonnepanelen (geplaatst in 2024), met een jaarlijkse opbrengst van circa 8.200 kWh. Verwarming via cv-installatie in combinatie met vloerverwarming. De woning is voorbereid op een toekomstbestendige overstap naar hybride of volledig elektrische verwarming.

BOUWKENMERKEN

Woonoppervlakte villa: circa 210 m²
Overig inpandige ruimte (bergzolder): circa 25 m²
Externe bergruimte (garage/berging): circa 27 m²
Totale oppervlakte: circa 262 m²

5 KWALITEITEN VAN DEZE CHARMANTE VILLA MET VRIJSTAANDE GARAGE EN RIANTE PARKEERGELEGENHEID OP EIGEN TERREIN

1. Instapklaar en verfijnd afgewerkt
Met zorg onderhouden en recent gemoderniseerd, een woning waar je direct kunt intrekken en genieten.

2. Buitenleven in alle seizoenen
Een tuinkamer grenzend aan woonkamer en keuken, gecombineerd met een omsloten overkapping in de zonnige achtertuin, creëren meerdere plekken om het hele jaar door buiten te leven.

3. Licht, ruimte en comfort
Meer dan 200 m² woonoppervlakte, met royale leefkeuken, sfeervolle woonkamer, vier slaapkamers en twee badkamers met de mogelijkheid voor een vijfde slaapkamer – een harmonieus geheel met een warme, huiselijke sfeer.

4. Exclusief wonen in een levendige dorpsomgeving
Gelegen aan een groene cul-de-sac met actieve buurtvereniging en prettige tradities. Een omgeving waar verbondenheid vanzelfsprekend is.

5. Duurzaam en toekomstgericht (energielabel A)
Met WTW-installatie, zonnepanelen, optimale isolatie, elektrisch laadpunt en grondwaterpomp woon je hier comfortabel én verantwoord.

ROYALE LEEFKEUKEN, WOONKAMER, TUINKAMER EN SLAAPVERDIEPING

Bij binnenkomst via de hoge ontvangsthal ervaar je direct de kwaliteit en ruimtelijkheid van deze villa. In 2024 werd de volledige begane grond gemoderniseerd: van de entree met gastentoilet tot de luxueuze leefkeuken, woonkamer, schilderwerk en tuin.

De woonkamer geniet van daglicht aan drie zijden en combineert een zit- en eetgedeelte met een stijlvolle natuurstenen vloer en zachte, lichte tinten. Aansluitend bevindt zich de tuinkamer (2010): een transparante leefruimte met glazen wanden en dak, voorzien van elektrisch bedienbare screens en schuifdeuren naar de tuin – perfect als rustige leesplek of extra lounge.

De royale leefkeuken vormt het hart van het huis, met centraal kookeiland, eetgedeelte en een speciaal ingerichte koffiehoek. Een plek waar koken, samenzijn en dagelijks leven moeiteloos samenkomen. Aangrenzend ligt de praktische bijkeuken met interieur maatwerkkasten, opstelling voor wasapparatuur en extra bergruimte.

Op de verdieping bevinden zich vier slaapkamers en twee badkamers. De hoofdslaapkamer beschikt over een eigen badkamer met inloopdouche en modern wastafelmeubel. De overige slaapkamers delen een complete tweede badkamer met ligbad, inloopdouche, dubbele wastafel en derde toilet. Alles is keurig onderhouden en tijdloos uitgevoerd.

Via een vlizotrap bereik je de ruime bergzolder met extra opslagmogelijkheden achter de knieschotten en potentie voor een extra vijfde slaapkamer.

TUIN EN BUITENRUIMTE

De achtertuin is fraai aangelegd, groen en onderhoudsvriendelijk, met meerdere terrassen en een lange tuintafel voor zomerse diners. Een brede, uitschuifbare luifel biedt schaduw op warme dagen.

In de hoek van de tuin bevindt zich een omsloten overkapping (2019) met houtgestookte kachel, houten vloer, warmtelampen en glazen schuifwanden rondom. Een intieme buitenkamer waar je vrijwel het hele jaar door beschut kunt genieten. Afsluitbare hekken aan beide zijden zorgen voor privacy en veiligheid.

Een plek om te vertragen, te luisteren naar vogels en ’s avonds te genieten van subtiele tuinverlichting.

RUIMTE, COMFORT EN PARKEERGEMAK OP EIGEN TERREIN

De royale oprit biedt plaats aan circa vier auto’s en is voorzien van een laadpunt voor elektrisch rijden. Aan de linkerzijde bevindt zich de volledig geïsoleerde vrijstaande garage, uitgevoerd in spouw met duurzame tegelvloer en dubbele houten deuren. Momenteel ingericht als opslagruimte met vaste kastenwand, maar ook geschikt voor fietsen of een extra auto.

Achter de garage ligt een aparte berging met opstelling voor beregening en grondwaterpomp – praktisch en uit het zicht. Daarnaast is er extra openbare parkeergelegenheid direct aan de aangrenzende groenstrook.

LEVENDIG LEENDE EN OMGEVING

De villa ligt in een hechte buurt waar veel bewoners al sinds de bouw wonen. De actieve vereniging organiseert jaarlijks gezamenlijke activiteiten en zorgt in de wintermaanden voor een sfeervol verlicht hofje.

Vanuit huis wandel je zo de natuur in of richting het dorpshart met basisschool, winkels, horeca en zorgvoorzieningen. Leende kent een rijk verenigingsleven en een warme, gastvrije cultuur.

De omgeving biedt volop recreatiemogelijkheden in heide- en bosgebieden, terwijl Eindhoven op slechts vijftien minuten rijden ligt. Met snelle verbindingen naar de A2 en A67 is ook de rest van de regio uitstekend bereikbaar.

VOOR DE COMPLETE VERKOOPINFORMATIE, DOWNLOAD DE UITGEBREIDE VERKOOPDOCUMENTATIE MET PLATTEGRONDEN!

Kernkwaliteiten

Instapklaar en verfijnd afgewerkt

Met zorg onderhouden en recent gemoderniseerd, een woning waar je direct kunt intrekken en genieten.

Buitenleven in alle seizoenen

Een tuinkamer grenzend aan woonkamer en keuken, gecombineerd met een omsloten overkapping in de zonnige achtertuin, creëren meerdere plekken om het hele jaar door buiten te leven.

Licht, ruimte en comfort

Meer dan 200 m² woonoppervlakte, met royale leefkeuken, sfeervolle woonkamer, vier slaapkamers en twee badkamers met de mogelijkheid voor een vijfde slaapkamer – een harmonieus geheel met een warme, huiselijke sfeer.

Exclusief wonen in een levendige dorpsomgeving

Gelegen aan een groene cul-de-sac met actieve buurtvereniging en prettige tradities. Een omgeving waar verbondenheid vanzelfsprekend is.

Duurzaam en toekomstgericht (energielabel A)

Met WTW-installatie, zonnepanelen, optimale isolatie, elektrisch laadpunt en grondwaterpomp woon je hier comfortabel én verantwoord.

Plattegronden

Kenmerken

Aanvaarding

Vraagprijs
€ 1.190.000 k.k.
Status
Beschikbaar
Oplevering
In overleg

Bouw

Soort woonhuis
Villa, Vrijstaande woning
Soort bouw
Bestaande bouw
Bouwjaar
2009
Onderhoud binnen
Uitstekend
Onderhoud buiten
Uitstekend
Ligging
Aan park, Aan rustige weg, In woonwijk, Vrij uitzicht

Indeling

Woonoppervlakte
ca. 210m²
Perceeloppervlakte
ca. 534m²
Inhoud
ca. 865m³
Aantal kamers
7
Aantal slaapkamers
4
Aantal badkamers
2
Woonlagen
3

Energie

Energielabel
A
Isolatie
Dakisolatie, Muurisolatie, Vloerisolatie, Volledig geisoleerd
Verwarming
C.V.-ketel, Vloerverwarming geheel, Warmte Terugwininstallatie, Houtkachel
Warm water
C.V.-ketel

Buitenruimte

Tuin
Achtertuin, Voortuin, Zijtuin, Zonneterras

Garage

Soort garage
Vrijstaand steen, Parkeerplaats

Heeft u vragen of wilt u meer informatie?
Wij vernemen graag van u! 

Uw bericht is naar ons verzonden. Wij nemen zo snel mogelijk contact met u op.

Sorry, we kunnen helaas niet met zekerheid vaststellen of u een mens of een geautomatiseerde bot/spammer bent. Hierdoor kunnen we het formulier dat u heeft ingevuld niet verzenden. Probeer het opnieuw of neem direct contact op met de makelaar via e-mail.

Er is iets mis gegaan met het versturen van het formulier.
Controleer of u alle velden (goed) heeft ingevoerd en probeer het nog een keer.

Persoonsgegevens

recaptcha
reCAPTCHA
PrivacyTerms