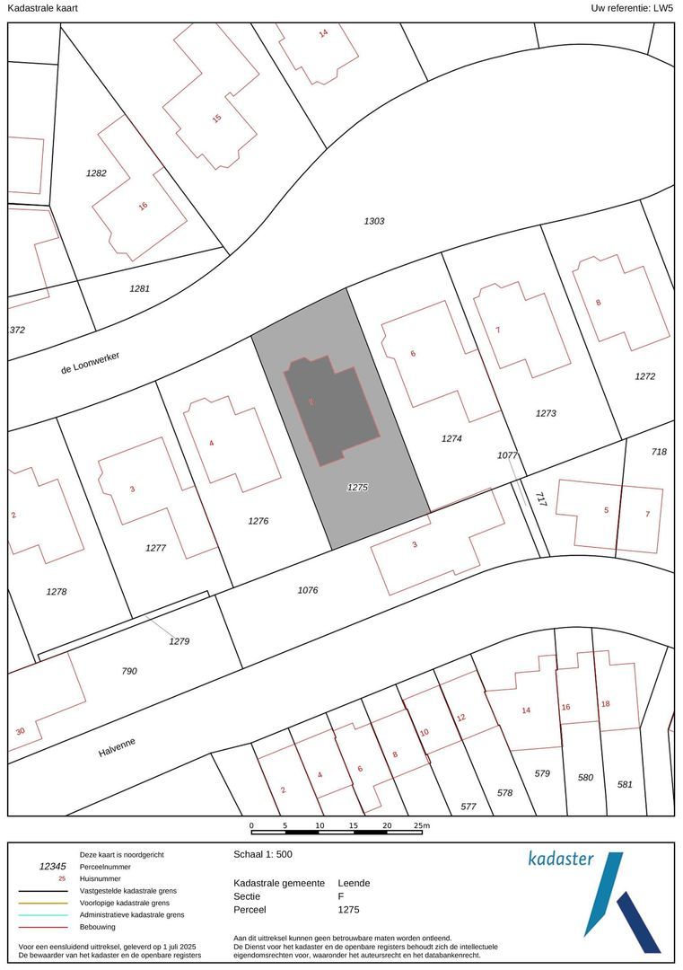
Leende

de Loonwerker 5

Bekijk Cato TV
A 210m² 534m² 865m³ 4 slaapkamers 2 badkamers Vraagprijs € 1.250.000 k.k.

Omschrijving

VOOR EEN SNELLE IMPRESSIE, BEKIJK DE VIDEO VAN CATO TV!

Een charmante villa in Engelse stijl met karakter en klasse – dát is De Loonwerker 5 in Leende. Deze vrijstaande woning ligt in een exclusieve, kleinschalige wijk met slechts achttien onder architectuur ontworpen ‘Cambridge’-villa’s. Een omgeving die rust, stijl en samenhang uitstraalt. De villa is ruim, elegant en ademt een warme, uitnodigende sfeer. Zestien jaar geleden liet de huidige eigenaar deze woning bouwen, met oog voor detail en kwaliteit – en dat is nog altijd voelbaar in elke ruimte.

De woning biedt volop ruimte: perfect voor thuiswerken, het ontvangen van gasten of gewoon lekker royaal wonen met het hele gezin. Je woont hier rustig aan een hofje waar buren elkaar kennen, kinderen veilig buiten spelen en de buurt-barbecue twee keer per jaar vaste prik is. En tegelijkertijd ligt alles wat je nodig hebt op loopafstand – van uitgestrekte heidegebieden tot de gezellige dorpskern met alle dagelijkse voorzieningen.

En het mooiste? Elke keer als je na een drukke dag je hofje inrijdt en jouw woning in zicht komt, voel je het weer: hier ben je thuis.


DUURZAAMHEID
Uitstekend geïsoleerde villa met energielabel A, voorzien van HR++ beglazing en 12 zonnepanelen (geplaatst in 2024), goed voor een jaarlijkse opbrengst van circa 8.200 kWh. De woning wordt momenteel verwarmd via een cv-ketel in combinatie met vloerverwarming. Door de installatie van een hybride systeem of warmtepomp kan deze villa in de toekomst volledig gasloos worden.


BOUWKENMERKEN
Woonoppervlakte villa: circa 210 m²
Oppervlakte overig inpandige ruimte (bergzolder): circa 25 m²
Oppervlakte externe bergruimte (garage/berging): circa 27 m²
Totale oppervlakte: circa 262 m²


5 KWALITEITEN VAN DEZE CHARMANTE VILLA MET VRIJSTAANDE GARAGE EN VOLOP PARKEERRUIMTE OP EIGEN TERREIN IN LEVENDIG LEENDE

1. Sfeervol en instapklaar
Tot in de puntjes verzorgd, strak afgewerkt en met passie en toewijding bewoond. Dankzij recente updates aan onder andere de ontvangsthal, woonkamer, leefkeuken en de tuin kun je hier direct genieten.

2. Heerlijk buitenleven
Een fijne tuinkamer grenzend aan de woonkamer/keuken én een extra omsloten overkapping in de hoek van de zonnige, privacy-rijke tuin, maken dit dé perfecte plek om het hele jaar door van het buitenleven te genieten.

3. Licht, ruimte en warmte
Met ruim 200 m² aan woonoppervlakte, waaronder een grote leefkeuken met bijkeuken, sfeervolle woonkamer met erker, vier slaapkamers en twee badkamers. Ruim en overal met warmte en huiselijkheid.

4. Fijn buurtje in levendig Leende
Wonen aan een groene cul-de-sac met een actieve buurtvereniging en gezellige jaarlijkse tradities. Je kent hier de omwonenden, wat zorgt voor een gemoedelijke en vertrouwde sfeer.

5. Comfortabel en duurzaam, energielabel A
Met onder andere een WTW-installatie, 12 zonnepanelen, optimale isolatie, elektrisch laadpunt en grondwaterpomp, woon je hier niet alleen comfortabel, maar ook nog eens duurzaam.


ROYALE LEEFKEUKEN, WOONKAMER ÉN TUINKAMER
Wanneer je je voet over de drempel zet bij de voordeur, voel je het direct: hier klopt alles. De hoge ontvangsthal is een indrukwekkende binnenkomer die meteen laat zien hoe zorgvuldig deze woning is ontworpen en afgewerkt. Verzorgd, strak en tóch heel sfeervol. In 2024 is de gehele benedenverdieping nog eens compleet gemoderniseerd: van de vernieuwde entree met gastentoilet, de eigentijdse leefkeuken en sfeervolle woonkamer, tot fris schilderwerk en een opnieuw aangelegde tuin.

De riante woonkamer met zit- en eetgedeelte geniet van prachtig lichtinval aan drie zijden. De natuurstenen vloer vormt een stijlvol contrast met de lichte, zachte kleuren: strak, maar warm. Even tot rust komen? Dat kan in de aangrenzende tuinkamer (2010). Deze extra leefruimte met glazen wanden en glazen dak werd ooit gebruikt voor indrukwekkende legobouwwerken – inmiddels is het een sfeervolle overgangsruimte tussen huis en tuin. Is de zon te fel? Dan zorgen de elektrisch bedienbare screens voor schaduw en verkoeling. Een ideale plek voor een ontspannen avond met een goed boek of je favoriete serie. Dankzij de schuifdeuren naar buiten verbind je deze ruimte moeiteloos met de woonkamer, of trek je je juist even terug.

Via de openslaande deuren vanuit de woonkamer stap je de royale leefkeuken binnen. Een keuken die alles biedt: ruimte, comfort en sfeer. Het centrale kookeiland met aangrenzend eetgedeelte is de plek om de dag te starten met een kop koffie – in het speciaal ingerichte koffiehoekje – of om samen te komen na een drukke dag. Van koken en borrelen tot huiswerk maken: hier komt het allemaal samen.

Aangrenzend vind je de praktische bijkeuken, bereikbaar via de zijdeur in de linkerzijgevel – de deur die je gebruikt na een dag werken of school. Deze bijkeuken is slim ingedeeld met maatwerkkasten voor de wasmachine en droger, en een diepe trapkast voor proviand. Praktisch, doordacht en perfect geïntegreerd in het geheel.


BOVEN: VIER SLAAPKAMERS EN TWEE BADKAMERS
Via de stijlvolle hardhouten steektrap in de ontvangsthal, ga je naar boven. Het hoge plafond nodigt uit tot het ophangen van een indrukwekkende hanglamp – een echte eyecatcher. Op de overloop van de bovenverdieping is er toegang tot vier slaapkamers en een tweede, separaat toilet.

De hoofdslaapkamer ligt aan de achterzijde en beschikt over een eigen inloopbadkamer met een inloopdouche en een modern wastafelmeubel. Comfortabel en praktisch! Voor de andere huisgenoten zijn er nog drie ruime slaapkamers, die gebruikmaken van de tweede, complete badkamer met dubbele wastafel in wandmeubel, ligbad, inloopdouche en een derde toilet. Alles, tot en met het sanitair, is keurig onderhouden en met zorg afgewerkt.

De bergzolder, bereikbaar via een vlizotrap, biedt volop ruimte voor het opbergen van seizoensspullen, koffers en meer. Achter de knieschotten vind je extra bergruimte, zodat ook deze verdieping overzichtelijk en netjes blijft. En met relatief eenvoudige aanpassingen zijn hier zelfs nog extra kamers te realiseren.


TUIN EN BUITENRUIMTE
De achtertuin is groen, sfeervol en onderhoudsvriendelijk ingericht. Je merkt direct dat hier met zorg en aandacht over is nagedacht. Neem plaats aan de lange tuintafel voor een zonnige lunch of een gezellige zomeravond met vrienden of familie. Komt er een buitje of wordt het toch te warm? Dan biedt de brede, uitschuifbare luifel direct comfort en beschutting.

In de hoek van de tuin wacht een fijne verrassing: de omsloten overkapping(2019) met houtgestookte kachel – favoriet van de huidige eigenaar. Deze sfeervolle ruimte is afgewerkt met een houten vloer, voorzien van warmtelampen én rondom afsluitbaar met diverse glazen schuifwanden. Daardoor kun je hier bijna het hele jaar door genieten van het buitengevoel, in alle rust en comfort. Tot slot zorgen afsluitbare hekken aan beide zijden van de tuin voor extra privacy en een veilig gevoel.

Of je nu kijkt naar het groen, luistert naar de vogels of ‘s avonds geniet van de sfeervolle tuinverlichting – dit is echt zo’n plek waar je tot rust komt. Kom je bezichtigen? Neem dan vooral even plaats in de tuinkamer en ervaar het zelf.

RUIMTE, COMFORT EN PARKEERGEMAK OP EIGEN TERREIN
De royale oprit biedt meer dan voldoende parkeergelegenheid voor circa vier auto’s. Aan de voorzijde van de woning bevindt zich bovendien een laadpunt voor een elektrische auto – helemaal van nu.

Aan de linkerzijde loopt de oprit verder door naar de volledig geïsoleerde, vrijstaande garage (ca. 2.65 x 3.40 m), gebouwd in spouw en afgewerkt met een duurzame gebakken tegelvloer. Via dubbele houten deuren betreed je een nette, multifunctionele ruimte, momenteel in gebruik als opslag, voorzien van een praktische kastenwand over de volledige diepte. Er is daarnaast voldoende plaats voor fietsen, tuingereedschap of zelfs een extra auto.

Achter de garage bevindt zich een aparte berging met opstelplaats voor de beregeningsinstallatie en grond-waterpomp – ideaal voor het opbergen van containers of seizoensspullen. Alles netjes uit het zicht, maar toch direct bij de hand.

Daarnaast is er extra openbare parkeergelegenheid beschikbaar direct aan de aangrenzende groenvoorziening.

Kortom: volop parkeerruimte, direct bij de woning. Ideaal voor een (groot) gezin, gasten of gewoon extra gemak in het dagelijks leven.


LEVENDIG LEENDE EN OMGEVING
De Loonwerker 5 ligt aan een intiem hofje met 18 villa’s. Veel bewoners wonen hier al sinds de bouw, wat zorgt voor een hechte en gezellige buurt. De actieve buurtvereniging organiseert jaarlijks een barbecue, sinterklaasfeest en met kerst zorgt gezamenlijke verlichting – inclusief prachtig versierde boom en vuurkorven – voor echte winterse sfeer. Leende op z’n best!

Vanuit het hofje loop je zó de natuur in of richting het charmante dorpshart met alles wat je nodig hebt: een basisschool, bakker, huisarts, horeca en winkels. Het dorp bruist van verenigingsleven, sport en cultuur. Hoogtepunt in 2024: de Lindse Passion, een groots dorpsspektakel met honderden betrokkenen. Leende is warm, gastvrij en levendig – of je er nu vandaan komt of juist van buiten komt aanwaaien.

Leende ligt prachtig landelijk, met natuurgebieden als de Stabrechtse Heide, Malpie en Leenderbos om de hoek. Ook België ligt dichtbij. In buurdorp Heeze vind je Kasteel Heeze en de bekende Brabantsedag: de grootste theaterparade van Nederland.

Op zoek naar stadse reuring? Met 15 minuten sta je in Eindhoven – perfect voor een dagje winkelen, een avond theater of een concert in de Effenaar of het Muziekgebouw. Verder weg? De A2, A67 en goede busverbindingen brengen je snel op weg.

VOOR DE COMPLETE VERKOOPINFORMATIE, DOWNLOAD DE UITGEBREIDE VERKOOPDOCUMENTATIE MET PLATTEGRONDEN!

Kernkwaliteiten

Sfeervol en instapklaar

Tot in de puntjes verzorgd, strak afgewerkt en met passie en toewijding bewoond. Dankzij recente updates aan onder andere de ontvangsthal, woonkamer, leefkeuken en de tuin kun je hier direct genieten.

Heerlijk buitenleven

Een fijne tuinkamer grenzend aan de woonkamer/keuken én een extra omsloten overkapping in de hoek van de zonnige, privacy-rijke tuin, maken dit dé perfecte plek om het hele jaar door van het buitenleven te genieten.

Licht, ruimte en warmte

Met ruim 200 m² aan woonoppervlakte, waaronder een grote leefkeuken met bijkeuken, sfeervolle woonkamer met erker, vier slaapkamers en twee badkamers. Ruim en overal met warmte en huiselijkheid.

Fijn buurtje in levendig Leende

Wonen aan een groene cul-de-sac met een actieve buurtvereniging en gezellige jaarlijkse tradities. Je kent hier de omwonenden, wat zorgt voor een gemoedelijke en vertrouwde sfeer.

Comfortabel en duurzaam, energielabel A

Met onder andere een WTW-installatie, 12 zonnepanelen, optimale isolatie, elektrisch laadpunt en grondwaterpomp, woon je hier niet alleen comfortabel, maar ook nog eens duurzaam.

de Loonwerker 5
Aflevering CATO TV

de Loonwerker 5, Leende

Plattegronden

Kenmerken

Aanvaarding

Vraagprijs
€ 1.250.000 k.k.
Status
Beschikbaar
Oplevering
In overleg

Bouw

Soort woonhuis
Villa, Vrijstaande woning
Soort bouw
Bestaande bouw
Bouwjaar
2009
Onderhoud binnen
Uitstekend
Onderhoud buiten
Uitstekend
Ligging
Aan park, Aan rustige weg, In woonwijk, Vrij uitzicht

Indeling

Woonoppervlakte
ca. 210m²
Perceeloppervlakte
ca. 534m²
Inhoud
ca. 865m³
Aantal kamers
7
Aantal slaapkamers
4
Aantal badkamers
2
Woonlagen
3

Energie

Energielabel
A
Isolatie
Dakisolatie, Muurisolatie, Vloerisolatie, Volledig geisoleerd, HR-glas
Verwarming
C.V.-ketel, Vloerverwarming geheel, Warmte Terugwininstallatie
Warm water
C.V.-ketel

Buitenruimte

Tuin
Achtertuin, Voortuin, Zijtuin, Zonneterras

Garage

Soort garage
Vrijstaand steen, Parkeerplaats

Bladerbrochure

Heeft u vragen of wilt u meer informatie?
Wij vernemen graag van u! 

Uw bericht is naar ons verzonden. Wij nemen zo snel mogelijk contact met u op.

Sorry, we kunnen helaas niet met zekerheid vaststellen of u een mens of een geautomatiseerde bot/spammer bent. Hierdoor kunnen we het formulier dat u heeft ingevuld niet verzenden. Probeer het opnieuw of neem direct contact op met de makelaar via e-mail.

Er is iets mis gegaan met het versturen van het formulier.
Controleer of u alle velden (goed) heeft ingevoerd en probeer het nog een keer.

Persoonsgegevens

recaptcha
reCAPTCHA
PrivacyTerms